655 CRAMER RAOD
Our Homes Are Fully Customizable
HOLMES APPROVED HOMES

TARION WARRANTY
OLT
Approved
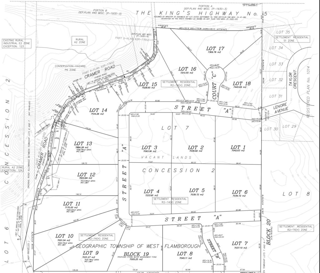
The preliminary proposal details the layout and division of the property situated at 655 Cramer Road in Dundas. This includes the designation of 18 lots intended for individual detached residences, with each lot having a minimum size of 1.7 acres (7000m2 or more).
655 Cramer Road in Dundas
Monday – Thursday: 2:00 pm – 6:00 pm
Friday: Currently by appointment only
Saturday & Sunday: 1:00 pm – 5:00 pm
(905)921-0020
sales@zeinahomes.ca
Prime Real Estate Opportunity at 655 Cramer Road, Dundas
Explore spacious lots, prime location, and excellent investment potential
OLT Approved Plan
Diverse Housing Options
Subdivision draft plan ensures smooth transition from purchase to development.
18 lots for single detached homes, customizable to suit every family's needs
Oversized Lots
Investment Potential
Ample space for spacious homes, and landscaped gardens
Prime location with excellent potential for capital apreciation
Exipting Subdivision
Prime Location
Located next to a well-established community.
Minutes from shopping, fitness centers, and McMaster University
Potential Design and Property Details




CONTACT US
655 CRAMER ROAD, Dundas, ON
Dennis Petis (905) 923-7525
Monday - Thursday: 2:00 - 6:00pm
Friday: By Appointment
Saturday & Sunday: 1:00 - 5:00pm
This Non-Binding Project Proposal is not a formal offering and is to only provide potential and interested sophisticated and accredited investors or friends and family of the Developer/Sponsor information about the Project and the Investment Terms proposed by the developer. Formal Legal investment documentation subsequent to the investor’s intent and pledge shall be prepared prior to confirming and payment of any investment.


